新潟の不動産なら何でもお任せ下さい
きっと見つかる理想のお部屋
ご家族用のから一人暮らし用まで、物件情報満載!!
Long Livable
永く、快適な暮らしを「不動産情報社」
新着の不動産物件はコチラ!お気に入りの物件はお早めに!!
リフォーム済み!
続きを読む
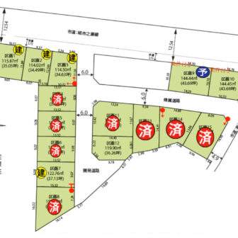
建築条件付き土地(イシカワ)
近隣都市計画道路(跨線橋)開通済!
【区画1 980万円】【区画2 890万円】
最新の一戸建てからマンション・アパート・土地など新潟・長岡エリアにある物件を多数ご用意!
住宅用から事業用地まで土地の売買はお任せください。高価買取・査定無料・秘密厳守。
A 992万円 B 1,086万円
解体更地渡し
建築条件あり
人気の小新2丁目!
中古住宅としても販売中!!※内見希望の方は希望日、希望時間含めてご連絡ください。
15区画分譲開始! 建築条件なし 結小学校近く!! 【手数料不要】